Public Hearing Notice: SD2023-03 Mountainside Village
Planning & Zoning Commission will hold a public hearing on TUESDAY, July 18, 2023 beginning at 7:00 p.m. to discuss the preliminary/full plat of Phase 5 of Mountainside Village Inc.

PUBLIC HEARING NOTICE
Victor Planning & Zoning Commission
City of Victor, Idaho
NOTICE IS HEREBY GIVEN that the Victor Planning & Zoning Commission will hold a public hearing at 138 N Main, Suite 201, on TUESDAY, July 18, 2023 beginning at 7:00 p.m. to discuss the following:
Public Hearing: SD2023-03 – Preliminary Plat/Full Plat of Phase 5 – Mountainside Village Inc .
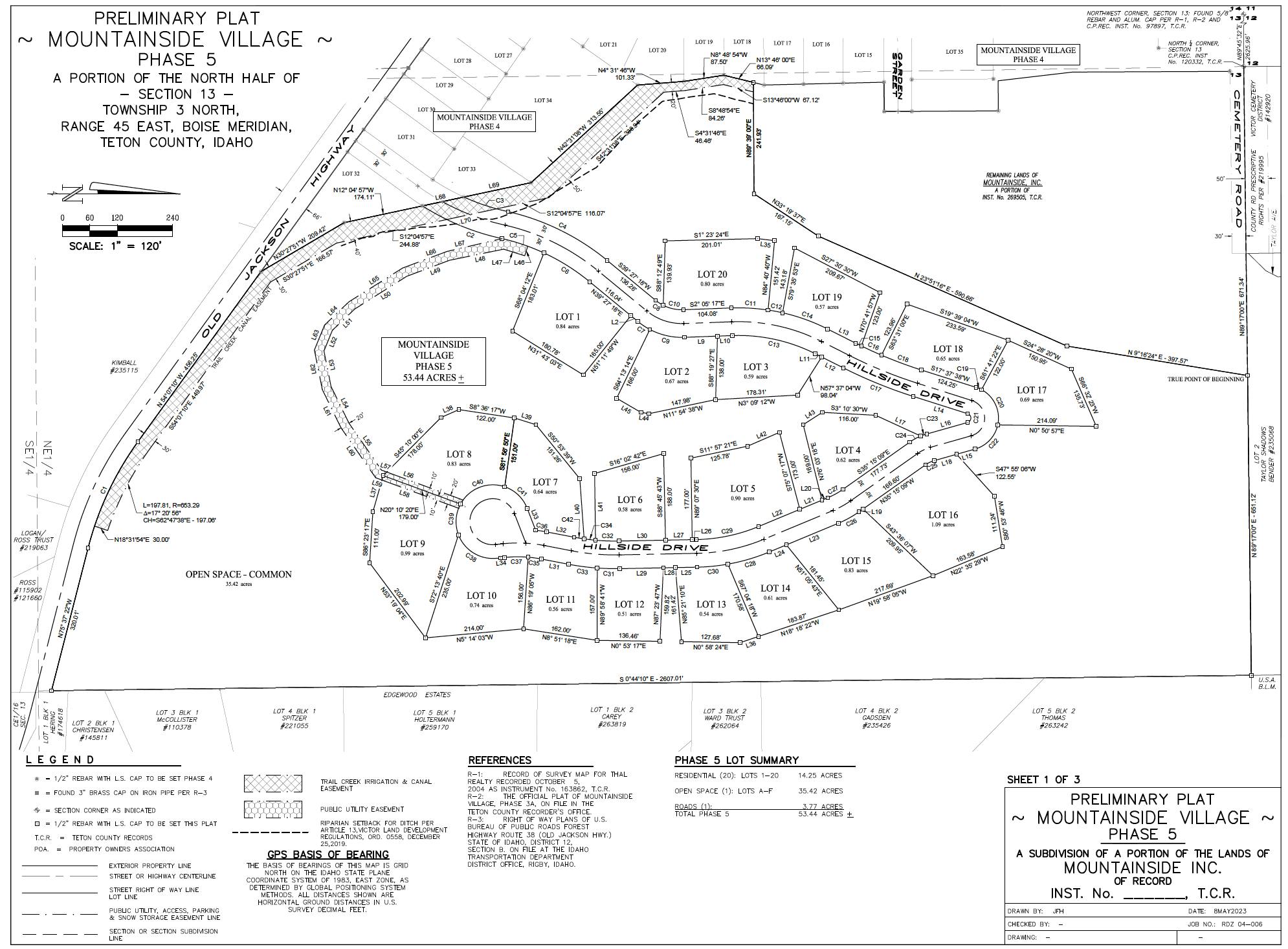
The commission will hold a public hearing to consider an application for a preliminary plat of a full subdivision proposing 21 lots on the eastern 35.7-acres of a property identified by parcel number: RPB3N45E130605. The commission is the recommending body on this application.
The public is invited to attend and testify regarding the proposed action or written comment may also be submitted to the City via the address below or on our Public Hearing Comment Form . Please contact the City with any questions regarding the hearing or to request communication aids, services, or other accommodations to participate.
Se invita al público a asistir y testificar en relación con la acción propuesta o también se pueden presentar comentarios por escrito a la Ciudad. Póngase en contacto con el ayuntamiento si desea solicitar ayudas para la comunicación, servicios u otras adaptaciones para su participación.
Al ser solicitada, ésta notificación puede ser proveída en un formato fácil de usar para personas con discapacidad y/o personas con conocimientos limitados del Inglés.
City of Victor, P.O. Box 122, 138 N. Main St. Suite 201, Victor, ID 83455
planner@victoridaho.gov
208-787-2940
Kimberly Kolner, Planning and Zoning Director
Publication Date: June 28, 2023